Klisna po ČSP
- [20.11. 2025]Smazat/ Upravit/ Topovat
















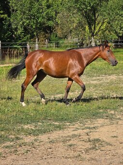
Nabízím k prodeji mladou líbivou klisnu s polovičním původem po ČSP 2048 Olly. Matka teplokrevná. Klisna je narozená 5/23, čipovaná, průkaz, očkování, odčervení. Je to nepopsaná kniha, která ještě nic moc nedělala, pouze procházky, párkrát lonž. Je to puberťák, který zkouší a hůř dává nohy ( pracujeme na tom ). Jinak je to citlivá, příjemná klisna, která se jen tak něčeho nezalekne, všechno ji zajímá, vyhledává kontakt s člověkem. Narovinu je to vtěrka, která musí být u všeho a je jí jedno jestli je to bagr, auto nebo vlající plachta. Potřebuje člověka, který se jí bude věnovat, vytvoří si vztah a hlavně s ní bude něco dělat. U mě ani neskáče ve volnosti, neměla jsem v plánu hříbě zbytečně zatěžovat. Její matka byla neskutečný charakter, který trpělivě snesl i svezl malé dítě a nikdy neublížila. Mladá doposud nikdy nemarodila, nemá žádné zjištěné alergie, nedrbe se, nikdy nekulhala. Představovala bych si pro ni jemnou ženu, která si ji připraví podle sebe. Aktuálně měří okolo 145+ cm, matka měla 170cm. Ráda bych zůstala v kontaktu, stačí mi jen občas vidět jak se vyvíjí, narodila se u mě.
|
| |||||||||||||||||||||||||||||||
Kontaktovat inzerenta emailem
Kontaktovat emailem může pouze ověřený uživatel.
Ověření je zdarma.
Vaše telefonní číslo *
Kontaktovat emailem může pouze ověřený uživatel.
Ověření je zdarma.
Vaše telefonní číslo *
Podobné inzeráty
6-ti letá klisna A1/1 - TOP - [11.1. 2026]Nabízím klisnu vhodnou do dostihového sportu, na chov (velmi dobrý původ po Zazou a Lužnici). Klisna je pošetřená, podává velmi dobré výsledky, určitě se uplatní na dráze. Pokud hledáte koně na běžné ježdění, pak počítejte, že koně z dráhy musíte vše ...
100 000 Kč
Most
436 01
436 01
128 x
Označit špatný inzerát Chybnou kategorii Ohodnotit uživatele Smazat/Upravit/Topovat
Perspektivní klisna WPBR - [10.1. 2026]Prodám 10l klisnu Adalim Seren WPBR, závodní zkušenosti z parkurů st.Z a všestrannosti st. ZL ,menší tělesný rámec, cca 160cm, velký skokový potenciál. Zdravá, ošetřovaní bez problémů. Videa na vyžádání. Cena 200 tis..
V textu
Uherské Hradiště
687 71
687 71
133 x
Označit špatný inzerát Chybnou kategorii Ohodnotit uživatele Smazat/Upravit/Topovat
Pony klisna - [10.1. 2026]Prodám 9- letou velmi kontaktní pony klisnu kvh 115cm.Zdravá,ošetřovaná a ježděná dětmi.Pravidelně očkovaná,odčervená,dělané zuby.Zvyklá chodit o samotě a za koněm.Zná silniční provoz.Účastnice huberta,táborů.Cena dohodou.
52 000 Kč
Praha - východ
250 88
250 88
265 x
Označit špatný inzerát Chybnou kategorii Ohodnotit uživatele Smazat/Upravit/Topovat
ryzka - [10.1. 2026]V zastoupení majitele je na prodej 4L.ryzka KVH165 po Guidam sohn x matka po Balounino B, hodná,zdravá včetně RTG,perspektivní,zatím skok 1m, ve volnosti
Dohodou
Příbram
262 55
262 55
184 x
Označit špatný inzerát Chybnou kategorii Ohodnotit uživatele Smazat/Upravit/Topovat
LUXUSNÍ TOP FRÍSKÁ KLISNA FRÍSKÝ KŮŇ - [10.1. 2026]PRODÁME KRÁSNOU FRÍSKOU KLISNU S TOP PŮVODEM.NAROZENÁ 6/22 V ČR.ZAPSANOU V HLAVNÍ KRÁLOVSKÉ PLEMENNÉ KNIZE.OTEC JE FRÍSKÝ HŘEBEC NANE 492 SPORT AAA.MATKA FRÍSKÁ STB STÉR KLISNA.KOBYLKA MÁ NÁDHERNÝ EXTERIÉR A MIMOŘÁDNÝ POHYB.ZVYKLÁ NA VEŠKERÉ OŠETŘOVÁ ...
V textu
Pelhřimov
396 01
396 01
154 x
Označit špatný inzerát Chybnou kategorii Ohodnotit uživatele Smazat/Upravit/Topovat
VANESSA VAN MORAVIA BŘEZÍ TOP FRÍSKA KLISNA FRIS FRISKÝ KŮŇ - [10.1. 2026]PRODÁME LUXUSNÍ BŘEZÍ FRÍSKOU KLISNU S TOP PŮVODEM A VELMI NÍZKÝM PROCENTEM PŘÍBUZNOSTI.NAROZENÁ 4/14 V ČR.NA SVODECH FRÍSKÝCH KONÍ ZÍSKALA ČTYŘI 1.PREMIE.OTEC ALKE 468 SPORT AA × BEART 411 SPORT+PREFERENT.MATKA MARRA STB STÉR PREFERENT.KLISNA JE BŘE ...
V textu
Pelhřimov
396 01
396 01
199 x
Označit špatný inzerát Chybnou kategorii Ohodnotit uživatele Smazat/Upravit/Topovat
Prodám 12 letou klisnu slovenský teplokrevník - TOP - [11.1. 2026]Prodám klisnu 12 let dobrého charakteru. Pošetřená, dříve málo ježděná. Teď v pravidelném tréninku. Celý život boxovaná a denně chodila do pastvin a výběhů se stádem koní. Velká mohutná klisna s dobrými chody. Pro zkušenějšího jezdce, jezdkyni. Otec ...
155 000 Kč
Svitavy
570 01
570 01
353 x
Označit špatný inzerát Chybnou kategorii Ohodnotit uživatele Smazat/Upravit/Topovat
Pony klisna - [9.1. 2026]Prodám 8mi letou pony kobylku, cca 140cm. Velmi komunikativní při práci ze země, nyní začínáme pracovat pod sedlem na jízdárně, s vodícím koněm chodíme do terénu, příjemně dopředná. V létě vozila děti na táborech, spíše klidnější povahy. Ustájená pas ...
95 000 Kč
Rokycany
338 08
338 08
164 x
Označit špatný inzerát Chybnou kategorii Ohodnotit uživatele Smazat/Upravit/Topovat
Chovná klisna APH - TOP - [11.1. 2026]Dobrý den, po dlouhém zvažování nabizim k prodeji podílovou klisnu aph x A1/1 narozenou 2010. Otec velmi úspěšný SKIPS DIABLO BAR. Klisna je jemná, velmi hodná na veškeré ošetřování, kovář, veterinář zcela bez problémů, zvyklá na malé děti - motá se ...
Dohodou
Domažlice
345 09
345 09
447 x
Označit špatný inzerát Chybnou kategorii Ohodnotit uživatele Smazat/Upravit/Topovat
Klisna do chovu - [9.1. 2026]Nabízíme klisnu r. 2015 zapsanou v plemenné knize ČT (Dark Diamond X Federweisser). Sportovala do 120cm, prodělala zranění bodcové kosti - staré i současné rtg k dispozici. Klisna není vhodná do sportu, ani na aktivní rekreaci.
Prosím volat pouze ...
Dohodou
Most
434 01
434 01
229 x
Označit špatný inzerát Chybnou kategorii Ohodnotit uživatele Smazat/Upravit/Topovat