Bordeauxská doga - pes krytí
- [13.10. 2025]Smazat/ Upravit/ Topovat





















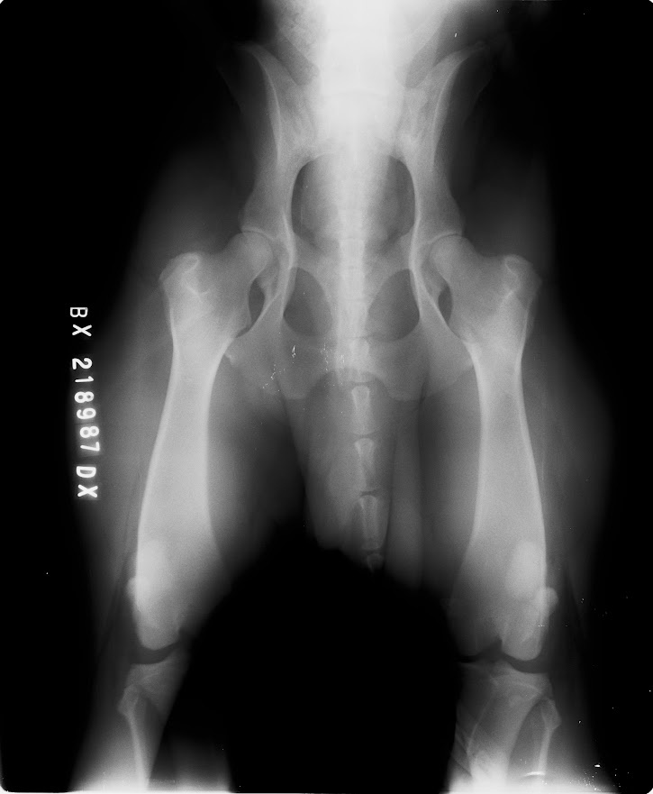
Hledáme nevěstu pro mladého psa BD s PP, Butch Coolidge dei Mastini del Goya, import Itálie, DKK AA, DLK 00, srdce OK, vyšetření sperma, vynikající pohyb, V1, CAC, Národní vítěz ČR, stáří 3 roky, perfektní povaha
|
| |||||||||||||||||||||||||||||||
Kontaktovat inzerenta emailem
Kontaktovat emailem může pouze ověřený uživatel.
Ověření je zdarma.
Vaše telefonní číslo *
Kontaktovat emailem může pouze ověřený uživatel.
Ověření je zdarma.
Vaše telefonní číslo *
